demoiselle à 3 points
Famille | Pomacentridae |
---|---|
Genre | Stegastes |
Statut IUCN (Monde) | LC |


Introduction
Le Stegastes planifrons, plus communément appelé la demoiselle à 3 points, est un poisson tropical vivant dans l'océan Atlantique Ouest tropical. Il se rencontre de la Floride au Venezuela. Adultes et juvéniles sont facilement confondus avec S. diencaeus.
Qui est-elle ?
Le genre Stegastes
Le genre Stegastes est pan-tropical et compte près de 40 espèces décrites en 2019. Les espèces du genre sont classées parmi les demoiselles.
Le corps est de forme ovale, compressé. Ces poissons possèdent une bouche petite et saillante. La nageoire caudale est fourchue, la dorsale est épineuse (12) et ainsi que la nageoire anale (2).
Parmi les genres les plus proches, on peut citer Abudefduf, Chromis, Microspathodon et Nexilosus. Certains de ces poissons ont une morphologie proche de cichlidés (famille exclusivement d'eau douce).
La plupart des demoiselles du genre Stegastes vivent dans les zones rocheuses, les coraux et les récifs d'algues, à une profondeur inférieure à 15-20 mètres. Ce sont des poissons omnivores qui se nourrissent de planctons, d'invertébrés benthiques et de plantes.
Certaines espèces sont connues dans le passe-temps aquariophile. Dans certaines régions du monde, ces poissons sont pêchés à petite échelle pour la consommation humaine.
Morphologie
-
Type
-
Taille moyenne11 cm
-
Taille maximale13 cm
-
Longévité4 ans
-
FormeCirculaire
-
Type
-
Taille moyenne11 cm
-
Taille maximale13 cm
-
Longévité4 ans
-
FormeCirculaire
Comment reconnaître Ce poisson ?
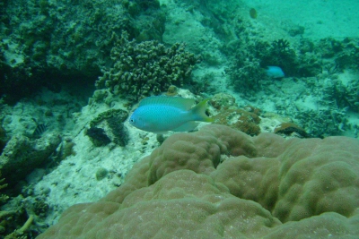
Morphologiquement, cette espèce est très proche de la demoiselle à longue nageoire (S. diencaeus). Les adultes sont brun-gris foncé avec le ventre jaunâtre. Elle s'en différencie facilement par ses taches noirâtres à la base des nageoires pectorales et caudale.
Les juvéniles sont jaune vif avec une grosse tache noire à la base de de la dorsale. Ils ont également une grosse tache noire sur le dos du pédoncule caudal et une petite à la base de la pectorale.
Différences entre mâles et femelles
Le mâle semble être plus grand que la femelle.
Mode de vie & Comportement
-
régimeomnivore
-
Sociabilitévivant en couple ou en groupe
-
territorialitéOui
-
Rythme biologiqueDiurne
Les adultes résident dans les récifs coralliens côtiers et dans les récifs isolés en zone plus profonde. Ils semblent apprécier les coraux de type "corne de cerf" (Acropora cervicornis). Ils sont particulièrement virulents à l'encontre de toutes les autres espèces et peuvent même réaliser de petites morsures sur les plongeurs.
Territoriaux, ils se nourrissent principalement de végétaux mais complètent ce régime de copépodes, de petits gastéropodes, d'œufs de mollusques, d'éponges, de polychètes et d'hydroïdes. La nuit, ils se cachent dans les grottes et anfractuosités.
Les jeunes sont connus pour déparasiter des poissons de plus grande taille.
Reproduction
-
Mode de reproductionovipare qui pond sur substrat découvert
-
Hermaphroditeprotandrique
La reproduction a lieu en paire distincte. Les œufs adhèrent au substrat. Les mâles gardent et nettoient la ponte.
Espèce inoffensive
Cette espèce ne présente pas de danger particulier pour l'Homme en cas de rencontre dans son milieu naturel.
Origine et répartition

État de conservation des populations (IUCN)
Quel est son habitat ?
Caractéristiques du milieu naturel
-
Température22 - 28 °C
-
Profondeur1 - 30 m
-
CourantModéré
Présentation du biotope
Cette espèce est rencontrée jusqu'à 30 mètres de profondeur.
Espèces du même biotope
Maintenance en captivité
Non recommandée
Nous déconseillons la maintenance de cette espèce en aquarium dans la plupart des cas. Ces poissons acceptent mal la présence de voisin de taille similaire et sont particulièrement coriaces, même entre eux, si le volume n'est pas suffisant.
Partenaire de la Mer

Mr.Goodfish
Le programme Mr.Goodfish sensibilise le public à la consommation durable des produits de la mer !
Apprendre en s'amusant
Pour aller plus loin
Sources & Réalisation
Participation & Validation
L'équipe de Fishipédia et les contributeurs spécialistes s'engagent à apporter un contenu de haute qualité. Cependant, bien que l'information soit issue de sources scientifiques ou de témoignages d'expériences de spécialistes, les fiches peuvent contenir des imprécisions.

Benoit Chartrer
Références bibliographiques
- - GBIF
- - The Whitetail Damselfish (Family Pomacentridae), Stegastes leucorus (Gilbert, 1892), New to California Marine Waters with a Key to the California Species of Pomacentridae - Milton S. Love - William Power - Southern California Academy of Sciences - 2016.
- - THE LIVING MARINE RESOURCES OF THE EASTERN CENTRAL ATLANTIC - FAO Fisheries Synopsis - 0.
Partenaires scientifiques
Partenaire de la Mer

Mr.Goodfish
Le programme Mr.Goodfish sensibilise le public à la consommation durable des produits de la mer !
Apprendre en s'amusant
Tags
Espèces de la même famille
Proches congénères
Espèces du même biotope


